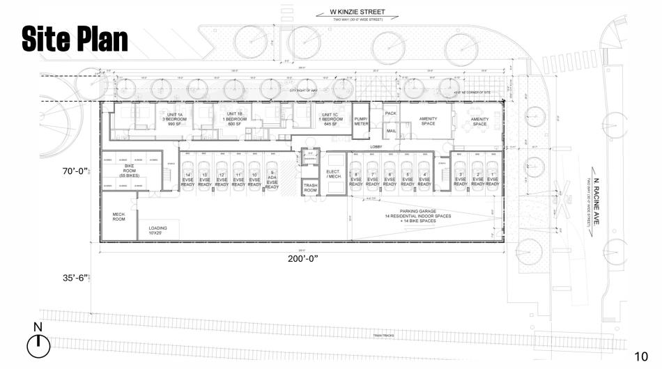
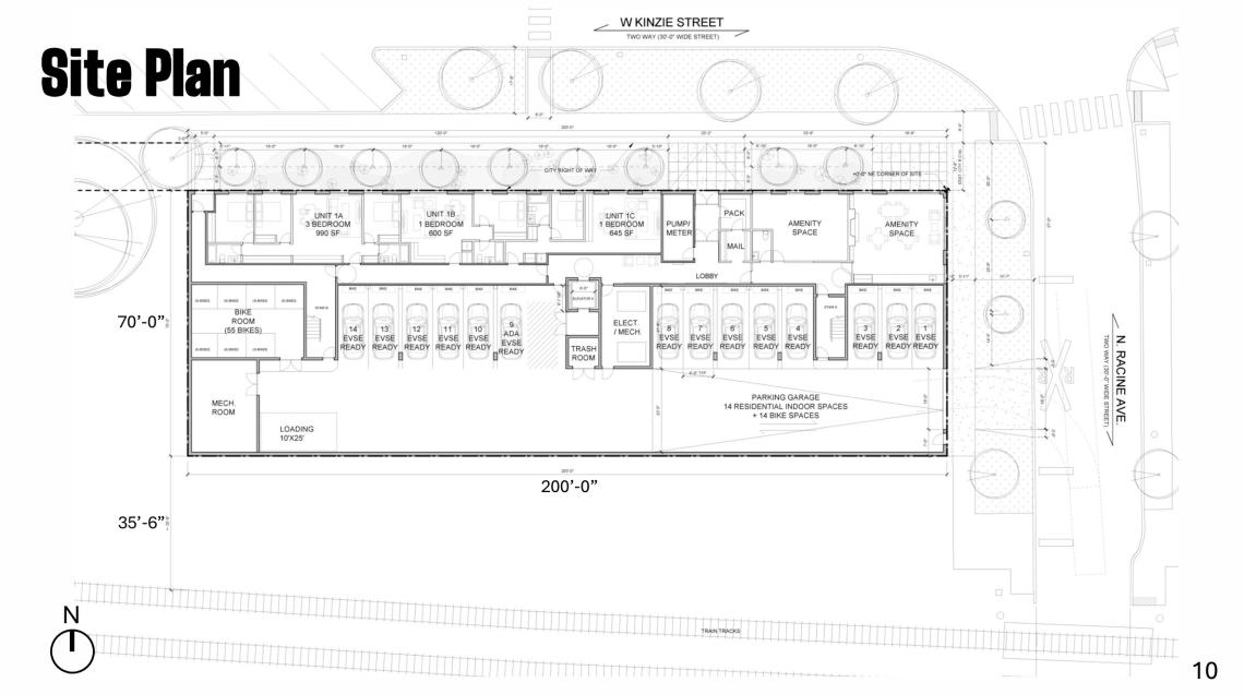
The Chicago Plan Commission has approved a residential development at 1201 W. Kinzie. Planned by LG Group, the project site is located at the southwest corner of W. Kinzie St and N. Racine Ave on the north side of the train tracks.
Designed by Dirk Denison Architects, the residential development will take shape as a five-story all-residential building. Standing approximately 71 feet in height, the building’s massing occupies the site out to its lot lines, with four courtyard indentations along the north and south facades that break down the massing while adding greenery and increased access to light and ventilation. The building’s facades are clad in green glazed brick with bronze metal mesh juliet balconies and metal paneling at the courtyard indentations.
On the ground floor, the residential entry and amenity spaces will occupy the corner of the building overlooking the intersection of W. Kinzie St and N. Racine Ave. The remainder of the W. Kinzie St frontage will have three residential units. The back half of the ground floor up along the Metra tracks will have an interior garage with 14 parking spaces, a bike room for 66 bikes, and mechanical space. The parking will be accessed via a curb cut on N. Racine Ave.
Above the ground floor, the second floors will have 15 units, while the rest of the residential floors will have 16 units per floor. With a total of 66 units, the building will have a unit mix of 15 studios, 33 one-beds, 16 two-beds, 1 three-bed, and 1 four-bed. To meet affordable housing requirements, 10 of the apartments will be set aside as affordable.
To allow for the scope of the project, the developer is seeking to rezone the site from M2-3 to DX-5. With Plan Commission approval secured for the industrial corridor map amendment, the proposal can seek final approvals from the Committee on Zoning and City Council. A hearing before the ZBA will also be required.
If all approvals are secured, the developer plans to break ground on the $25 million development in Q4 2026 and wrap up construction by Q2 2028.




