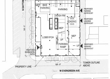
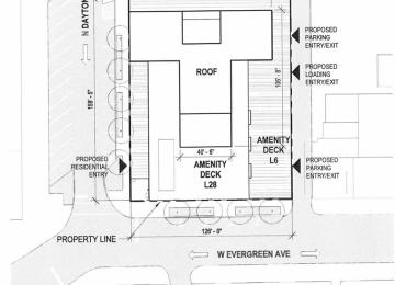
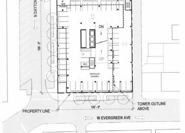
Image March 20, 2026 Plan Commission approves development at 1415 N. Dayton The 28-story tower would deliver 340 rental units
Image March 9, 2026 Plan Commission will review development at 1415 N. Dayton The 28-story tower would deliver 340 rental units
Image February 12, 2026 Zoning application filed for development at 1415 N. Dayton The 28-story tower would deliver 340 rental units