Image April 14, 2026 Zoning application filed for Bridgeport Crossing at 3301 S. Justine The multi-building development will have 223 dwelling units and retail
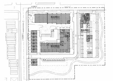
Image April 14, 2025 Mixed-use development dubbed Bridgeport Crossing planned at 3301 S. Justine The multi-building development will have 223 dwelling units and retail