Image October 6, 2025 City Council approves Pittsfield Building redevelopment 214 apartments and an observatory will be added at 55 E. Washington
Image September 25, 2025 Plan Commission approves Pittsfield Building redevelopment 214 apartments and an observatory will be added at 55 E. Washington
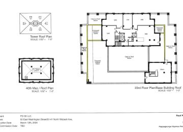
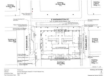
Image March 13, 2025 Residential conversion planned for office space at Pittsfield Building The 1920s-era skyscraper is already partially converted into apartments