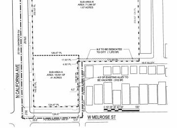
3265 N. California

Proposed Last updated 10/31/2025
Project Uses Apartments, Townhomes, Parking
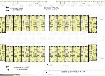
# of Apartments 128
Floors (Above Ground) 5
Podium No
Construction Type Type 3, 4 & 5

Companies

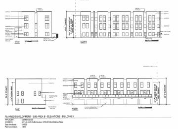
Developer Cal-Melrose LLC
Architect Hirsch MPG
You have X free articles remaining this month.
Subscribe today!
Subscribe